12345 NW Bear Valley Road Victorville, CA 92392

Other MLS #: HD24085655 Courtesy Of JP&Associates

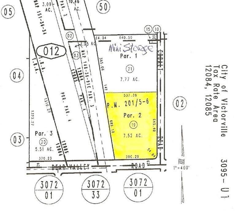
Property InformationDescription

FREE 3 TO 5 YEAR GROUND LEASE IS AN OPTION, also for sale. Prime commercial corner land with approx. 400 feet frontage on Bear valley Rd. and 640 feet on Cobalt St. Flat corner land ready for development. Halfway between I-15 and Highway 395.large affluent residential neighborhood within 1 mile the Median Household is over $91,260. Zoned commercial and mixed use. Please check with the City of Victorville.

Bear valley Road is the main commercial corridor and the primary arterial and the most travelled thoroughfare in Victorvalley, connecting cities of Victorville, Hesperia and the town of Apple Valley with Interstate 15. This 120 feet wide boulevard extends from Apple Valley to I-15 and then to Hwy 395 and beyond.
MORTGAGE CALCULATOR

Features

  • Architecture Style: Other
  • MLSID: HD24085655

MAP & DIRECTIONS

Get Directions
12345 NW Bear Valley Road, Victorville, CA 92392
View Directions
Copyright © 2026 California Regional Multiple Listing Service, Inc. All rights reserved. All information provided by the listing agent/broker is deemed reliable but is not guaranteed and should be independently verified. Information being provided is for consumers' personal, non-commercial use and may not be used for any purpose other than to identify prospective properties consumers may be interested in purchasing.